Okružní křižovatka
28. října 2025
ZNOJEMSKO: Okružní křižovatka
Ředitelství silnic a dálnic zprovozňuje novou okružní křižovatku u obce Kasárna na Znojemsku.
Od úterního rána 28. října 2025 můžete využívat bezpečnější a přehlednější napojení silnic I/38 a II/408.
Stavba za 37,5 milionů Kč nahradila původní nebezpečnou průsečnou křižovatku.
Zdroj: Ředitelství silnic a dálnic.
Připravil autor: Miroslav Galko - RegionálníMagazíny.cz.
24. září 2025
ZNOJMO: Okružní křižovatka
Stavba okružní křižovatky silnic I/38 x II/408 u obce Kasárna na Znojemsku pokračuje podle plánu.
Doprava je stále vedena po provizorních komunikacích.
Otevření křižovatky plánuje Ředitelství silnic a dálnic na konec října - cílem je zvýšit bezpečnost v nepřehledném úseku.
Zdroj: Ředitelství silnic a dálnic.
3. září 2025
ZNOJMO: Kasárna - Okružní křižovatka
Stavba nové okružní křižovatky silnic I/38 x II408 u obce Kasárna na Znojemsku pokračuje bez komplikací dle plánu.
Uzavřený pracovní úsek řidiči objíždějí provizorních komunikacích. Zprovoznění křižovatky plánujeme koncem října.
Cílem je zvýšení bezpečnosti v nepřehledném úseku.
Zdroj: Ředitelství silnic a dálnic.
Připravil autor: Miroslav Galko - RegionálníMagazíny.cz.
23. července 2025
ZNOJMO: Okružní křižovatka
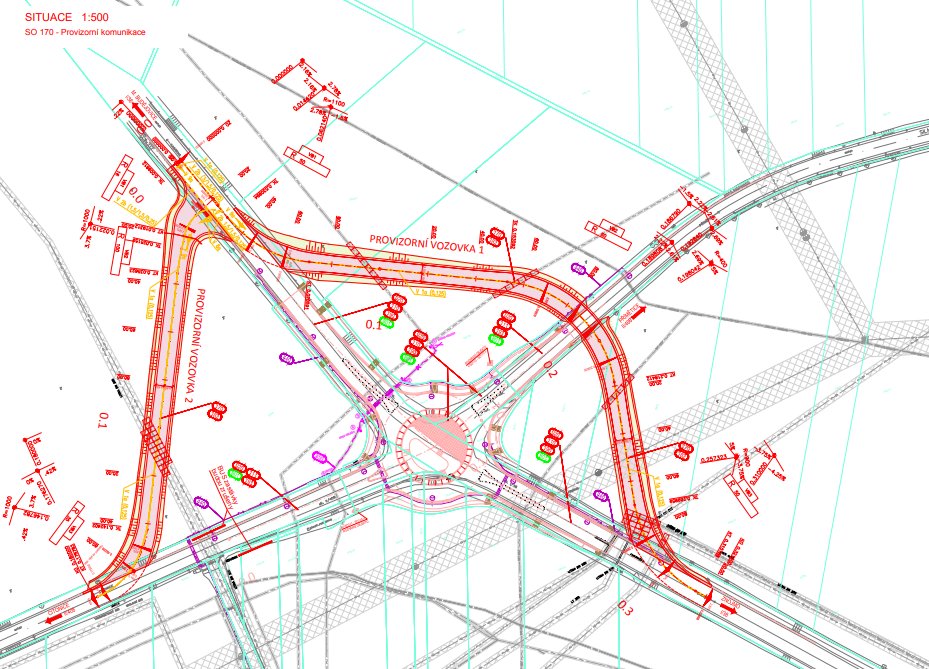
Pohled na stavbu budoucí okružní křižovatky silnic I/38 a II/408 u obce Kasárna. Začínáme budovat provizorní komunikace. Při průjezdu křižovatkou platí snížená rychlost 50 km/h. Neprůjezdná bude po celou dobu silnice II/408 ve směru na Přímětice. Hotovo bude do konce října.
22. července 2025
ZNOJMO: Okružní křižovatka
ŘSD začíná budovat okružní křižovatku u obce Kasárna na Znojemsku.
Začíná se budovat okružní křižovatku silnic I/38 a II/408 u obce Kasárna na Znojemsku. Cílem stavby je zvýšení bezpečnosti v nepřehledném úseku. Po nové okružní křižovatce se řidiči poprvé projedou koncem října. Stavba vyjde na 37,5 milionů korun. Provoz bude po celou dobu veden po provizorních komunikacích.
„Aktuálně začínáme budovat provizorní komunikace, na které následně převedeme provoz v polovině srpna. Motoristé křižovatkou již projíždějí se sníženou rychlostí na 50 km/h. Neprůjezdná bude po celou dobu silnice II/408 ve směru na Přímětice. Cílem úprav křižovatky je zvýšení bezpečnosti silničního provozu. Budoucí okružní křižovatka nahradí průsečnou, která svým uspořádáním zvyšuje riziko střetu vozidel. Křižovatka bude celkově přehlednější, čímž předejdeme nebezpečným kolizním situacím,“ sdělil ředitel Závodu Brno ŘSD David Fiala.
Okružní křižovatka je navržena o vnějším průměru 45 m s vyvýšeným středovým ostrovem upraveným pro případný přejezd nadrozměrného nákladu. „Stavbu budeme realizovat ve třech etapách. Aktuální první etapa řeší výstavbu provizorních komunikací. Druhá etapa zahrnuje kompletní realizaci celé okružní křižovatky v jednom celku včetně přeložek a výstavby inženýrských sítí. Ve třetí etapě odstraníme provizorní komunikace a dokončíme terénní úpravy,“ doplnil hlavní stavbyvedoucí Michal Hapl ze společnosti MI Roads a.s.
Silnice I/38, křižovatka II/408:
- Zahájení stavby: 07/2025
- Dokončení stavby: 10/2025
- Cena stavby dle smlouvy: 37,5 mil. Kč bez DPH
- Zhotovitel: MI Roads a.s.
Zdroj: Ředitelství silnic a dálnic.
Připravil autor: Miroslav Galko - RegionálníMagazíny.cz.

























